REF#SOF-135767 / Investitionsgrundstück / In der Nähe von Kokaljane (Kokaliane) / Sofia Bezirk / Bulgarien / Zum Verkauf Auf der Karte

Gesamtfläche
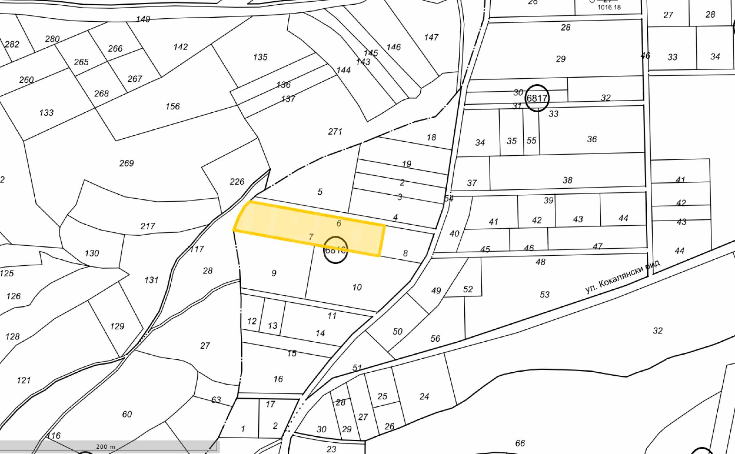
3600 m²

Preis
185 400 €
52 €/m²
Anfrage für mehr Information oder Besichtigung
Infopaket
Entfernung
Letzte Aktualisierung
06.11.2025 t.
Entfernung zu
Administrative Information zum Angebot
Der Text wurde ins Deutsche mithilfe einer automatischen Software übersetzt und es ist möglich, dass er Ungenauigkeiten enthält. Sie können den Text in der originalen Sprache oder seine Übersetzung in andere Sprachen lesen:
Wir bieten ein Grundstück in malerischer und ruhiger Lage in der Nähe des Dorfes Kokalyane – unweit von Sofia – zum Verkauf an.
Hauptmerkmale:
• Fläche: 3.600 m²;
• Art des Gebiets: landwirtschaftlich;
• Kategorie: VII;
• Dauerhafte Nutzung: Wiese.
Lage und Zugang:
• Am Fuße des Vitosha-Gebirges gelegen, in unmittelbarer Nähe des Dorfes Kokalyane;
• Leicht erreichbar von der Hauptstraße, in angenehmer Umgebung mit Panoramablick;
• Eine Gegend mit sauberer Luft, Stille und einem Gefühl von Naturverbundenheit.
Vorteile :
• Geeignet für Investitions- oder Freizeitzwecke - Landwirtschaft, Öko-Immobilien, Camping oder zukünftige Nutzungsänderung;
• Perfekte Balance zwischen Stadtnähe und Abgeschiedenheit in der Natur;
• Das Gebiet entwickelt sich dynamisch mit neuen Immobilien und steigendem Investitionsinteresse.
Eine hervorragende Gelegenheit für eine Immobilie in naturnaher Umgebung mit Potenzial für zukünftige Entwicklung und Wertsicherung.
Kontaktieren Sie uns für weitere Informationen!
Hauptmerkmale:
• Fläche: 3.600 m²;
• Art des Gebiets: landwirtschaftlich;
• Kategorie: VII;
• Dauerhafte Nutzung: Wiese.
Lage und Zugang:
• Am Fuße des Vitosha-Gebirges gelegen, in unmittelbarer Nähe des Dorfes Kokalyane;
• Leicht erreichbar von der Hauptstraße, in angenehmer Umgebung mit Panoramablick;
• Eine Gegend mit sauberer Luft, Stille und einem Gefühl von Naturverbundenheit.
Vorteile :
• Geeignet für Investitions- oder Freizeitzwecke - Landwirtschaft, Öko-Immobilien, Camping oder zukünftige Nutzungsänderung;
• Perfekte Balance zwischen Stadtnähe und Abgeschiedenheit in der Natur;
• Das Gebiet entwickelt sich dynamisch mit neuen Immobilien und steigendem Investitionsinteresse.
Eine hervorragende Gelegenheit für eine Immobilie in naturnaher Umgebung mit Potenzial für zukünftige Entwicklung und Wertsicherung.
Kontaktieren Sie uns für weitere Informationen!
Lesen Sie den Text in anderen Sprachen (automatische Übersetzung)
Standort (ungefähr)
Auf der Karte ist der ungefähre Standort der Immobilie/des Wohnkomplexes mit roter Markierung angezeigt.
Unsere Top-Angebote über zum verkauf im Kokaliane, Bulgarien
Immobilien nach Typ, Kokaliane
Alle nach Typ
Beliebste Suchaufträge
- Landhäuser in Bulgarien
- Immobilien zur Miete in Bulgarien
- Immobilien zum Kauf in Bulgarien
- Häuser zum Kauf in Bulgarien
- Immobilien zur Miete im Varna
- Immobilien in Bulgarien
- Immobilien zum Kauf im Varna
- Häuser in Bulgarien
- Immobilien im Varna
- Immobilien zur Miete im Burgas


ORIGINAL: